10-06-2010 - Al via gli adempimenti necessari alla realizzazione del I° Stralcio del Cimitero di Acquaria

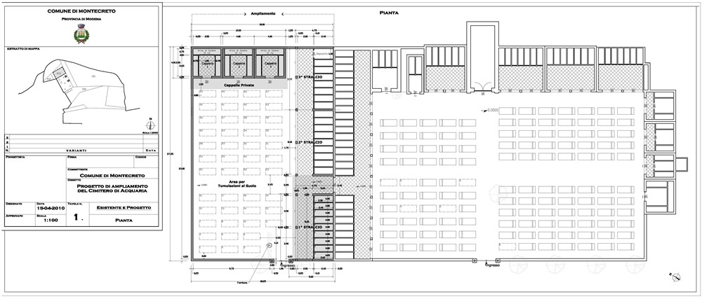
In data 10-06-2010 si è ultimato il progetto dell'amplamento del cimitero di Acquaria che prevederà la realizzazione di Loculi e posti per tumulazioni a terra.

Il progetto è suddiviso in tre stralci, il primo per la realizzazione di n. 36 loculi, nel secondo stralcio si arriverà a realizzare altri 36 loculi ed in fine nel terzo stralcio si completerà l'opera con ulteriori 28 loculi.

Il terreno potrà ospitare in tutto 47 salme, ed è prevista un'area in vendita per la realizzazione di 3 cappelle private.

Complessivamente il progetto, suddiviso nei vari stralci, coprirà un fabbisogno massimo di 183 feretri.

10-06-2010 - Ultimato il Progetto

05-11-2010 - In approvazione il progetto ed in corso la procedura per  l'affidamento dei lavori.

19-01-2011 - Partiti i lavori di ampliamento del cimitero-

Immagini

Proprietà dell'articolo
creato:giovedì 10 giugno 2010
modificato:giovedì 20 gennaio 2011